El Gobierno de México llama a la población a reforzar medidas de prevención ante el paso del huracán Milton
En seguimiento al mensaje emitido por la presidenta Claudia Sheinbaum Pardo, la Coordinación Nacional de Protección (CNPC) reafirma el llamado a los habitantes de Yucatán, Campeche y Quintana Roo, a reforzar las medidas preventivas ante los efectos que genera el huracán Milton categoría 5 en esas entidades.
Asimismo, se reitera a las ciudadanas y los ciudadanos de la península de Yucatán que mantengan la calma y sigan las indicaciones de las autoridades de Protección Civil, toda vez que existe la posibilidad de que el huracán Milton toque costas mexicanas.
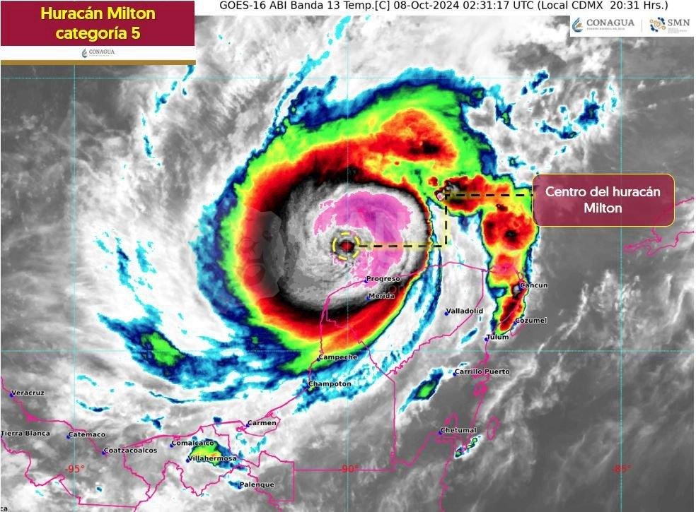
De acuerdo con el último informe dado a conocer por el Servicio Meteorológico Nacional (SMN), a las 21:00 h, se prevé que el sistema ciclónico arribe a territorio nacional entre las localidades de Progreso y Río Lagartos, Yuc. Desde esta noche y durante la madrugada del martes, las bandas nubosas ya impactan el norte de Campeche, Yucatán y norte de Quintana Roo.
El centro del huracán Milton se localiza a 60 km al nor-noroeste de Progreso y a 115 km al nor-noreste de Celestún,Yuc. Presenta vientos máximos sostenidos de 270 km/h, rachas de 325 km/h y desplazamiento hacia el este a 15 km/h.
Por ello, se exhorta a los habitantes de los estados mencionados a redoblar las siguientes acciones de seguridad:
• Si aun te encuentras en tu casa y vives en zona de riesgo dirígete cuanto antes a un refugio temporal.
• Si te encuentras en un refugio temporal no salgas y sigue las indicaciones de las autoridades.
• Resguárdate en casa.
• Mantén la calma y tranquiliza a la familia.
• Cierra y pon seguro a todas las puertas y ventanas.
• Ubícate en un cuarto o espacio al centro del hogar que tenga la menor cantidad de ventanas y puertas.
• Ten a la mano la mochila de emergencias.
• Corta la energía eléctrica y desconecta los aparatos electrónicos.
• Cierra las llaves del gas y de agua.
• Usa lámparas de pilas para iluminar.
• Continúa escuchando la radio de baterías para atender mensajes e instrucciones de las autoridades.
• Quédate dentro del hogar hasta que las autoridades indiquen que es seguro salir.
El SMN informó que la amplia circulación y bandas nubosas del sistema ciclónico Milton originarán Iluvias puntuales torrenciales (150 a 250 mm) en Campeche, Yucatán y Quintana Roo (norte); y lluvias puntuales intensas (75 a 150 mm) en Veracruz y Tabasco. Además, rachas de viento de 180 a 200 km/h, oleaje de 6 a 8 metros de altura y posible formación de trombas marinas en las costas de Campeche (norte), Yucatán y Quintana Roo (norte); rachas de 100 a 120 km/h y oleaje de 4 a 6 metros de altura en las costas de Veracruz y Tabasco.
Las autoridades de los tres órdenes de gobierno mantienen en vigilancia una zona de prevención por efectos de huracán desde Celestún hasta Río Lagartos, Yuc.; zona de vigilancia por efectos de huracán desde Río Lagartos, Yuc., hasta Cabo Catoche, Q. Roo, así como de Campeche, Camp., hasta Celestún, Yuc., y zona de prevención por efectos de tormenta tropical desde Río Lagartos, Yuc., hasta Cancún, Q. Roo.
El Gobierno de México, a través de las Secretaría de Seguridad y Protección Ciudadana (SSPC); Secretaría de la Defensa Nacional (Sedena); Secretaría de Marina (Semar); Guardia Nacional (GN), Secretaría de Infraestructura Comunicaciones y Transportes (SICT); Comisión Federal de Electricidad (CFE); Comisión Nacional del Agua (Conagua) y demás dependencias federales implementa acciones preparativas y de respuesta para dar atención y apoyo a la población.
